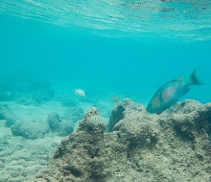
Marine protected areas (MPAs) around Oahu do not adequately protect populations of herbivorous reef fishes that eat algae on coral reefs. That is the primary conclusion of a study published in Coral Reefs by researchers from the University of Hawaii at Mānoa School of Ocean and Earth Science and Technology (SOEST). There are over 20 species of herbivorous fishes and ten species of herbivorous urchins commonly observed on Hawaiian reefs.